Search

Leave a Message

Thank you for your message. We will be in touch with you shortly.

Browse Properties

Property Description

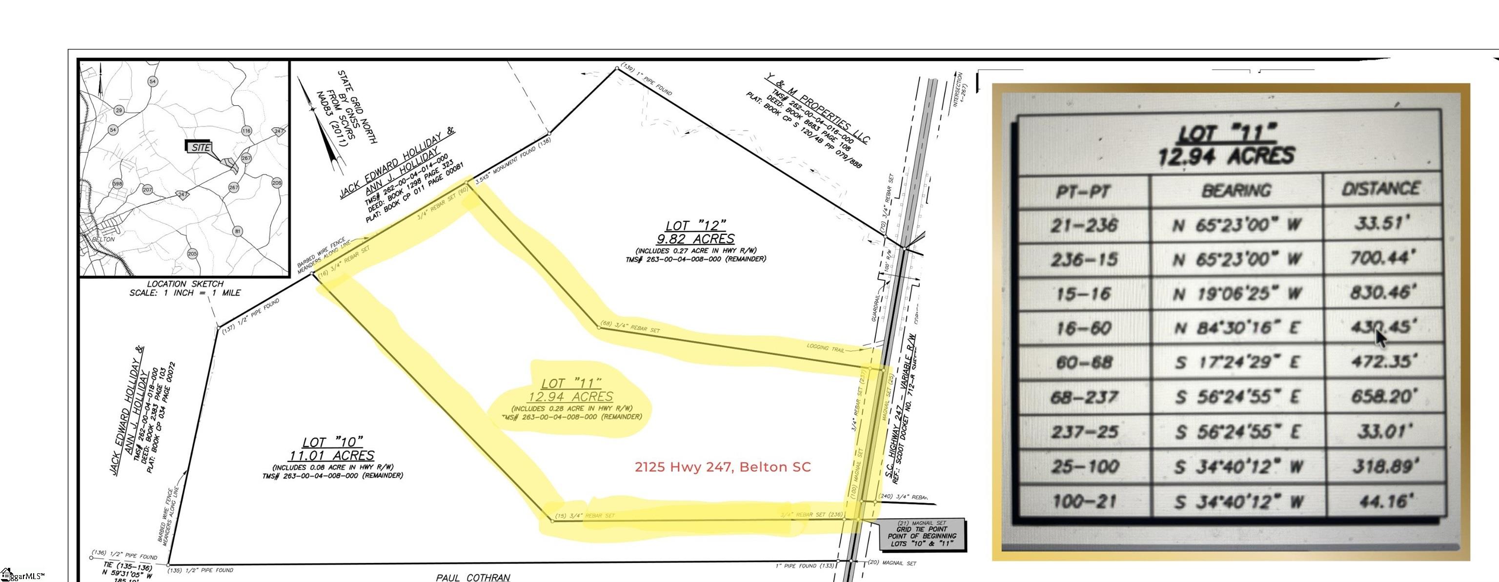
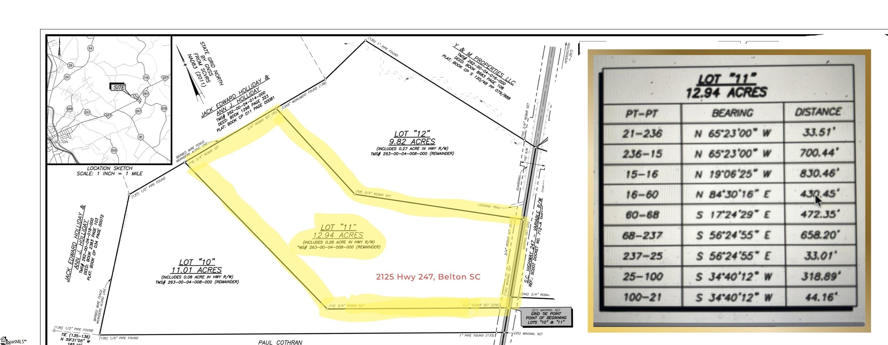
Imagine watching the sunset from the back porch of your dream home, surrounded by peace and tranquility on 12+ acres of Upstate South Carolina land. This is a golden opportunity to own acreage and build. Located about 30 minutes from Greenville and Anderson, you get the feel of a true escape without being far from shopping, dining, and recreation. To the buyer's advantage, a perc test has been completed for a 5 bedroom home and a portion of the property has already been cleared for a future build site. Hardwoods remain along the back and perimeter, creating a naturally private setting and a beautiful backdrop for your future home. This property is also a solid fit for buyers who want an equestrian lifestyle. Horses are allowed with a limit of one head per two acres. Appointments are required to walk the property.

Overview

Property Status
For Sale
Lot Size
12.66 Acres
MLS ID
1579928
Property Type
Land

Features & Amenities

Water Source
Well
Lot Features
10 - 25 Acres, Rural, Open Lot
Sewer
Septic Tank
Elementary School
Honea Path
Middle School
Honea Path
High School
Belton Honea Path
Sales Price
$350,000
Real Estate Tax
$29/yr

Downloads

2125 Hwy 247

Schedule a Tour

We would love to help you see this beautiful home! As a full-service brokerage, we can help you tour. Please submit an offer, and answer questions about the buying process.

Thank you

for your interest in 2125 Hwy 247, Belton, SC 29627

2125 Hwy 247
Navigate
2125 Hwy 247
explore in 3d

Mortgage Calculator

Estimate your monthly mortgage payment, including the principal and interest, property taxes, and HOA. Adjust the values to generate a more accurate rate.
$0,000 Your Payment 20 15 65
$0,000 Your Payment

Browse Our Notable Sales

Sold Properties

  • 824 Top Ridge Drive Sold

    $6,800,000

    824 Top Ridge Drive, Sunset, SC 29685

    • 4 Beds
    • 10 Baths
    • 11,100 Sq.Ft.
  • 104 Gnarled Pine Court Sold

    $6,100,000

    104 Gnarled Pine Court, Sunset, SC 29685

    • 4 Beds
    • 7 Baths
    • 5,944 Sq.Ft.
  • 48 Ridgeland Drive For Sale

    $4,450,000

    48 Ridgeland Drive, Greenville, SC 29601

    • 5 Beds
    • 5 Baths
    • 7,145 Sq.Ft.
  • 142 Cherokee Rose Trail Sold

    $4,275,000

    142 Cherokee Rose Trail, Marietta, SC 29661

    • 4 Beds
    • 5 Baths
    • 5,081 Sq.Ft.
  • 415 Belmont Avenue Sold

    $4,250,000

    415 Belmont Avenue, Greenville, SC 29601

    • 3 Beds
    • 5 Baths
    • 7,560 Sq.Ft.
  • 100 Keowee Club Road Active Under Contract

    $3,950,000

    100 Keowee Club Road, Townville, SC 29689

    • 7 Beds
    • 7 Baths
    • 6,184 Sq.Ft.
  • 607 Longview Court Sold

    $3,850,000

    607 Longview Court, Seneca, SC 29672

    • 4 Beds
    • 6 Baths
    • 4,646 Sq.Ft.
  • 129 Mount Vista Avenue Pending

    $3,450,000

    129 Mount Vista Avenue, Greenville, SC 29605

    • 5 Beds
    • 9 Baths
    • 7,398 Sq.Ft.
  • 300 Hillside Church Road Sold

    $3,400,000

    300 Hillside Church Road, Fountain Inn, SC 29644

    • 5 Beds
    • 6 Baths
    • 7,206 Sq.Ft.
  • 156 Cherokee Rose Trail For Sale

    $3,375,000

    156 Cherokee Rose Trail, Marietta, SC 29661

    • 4 Beds
    • 7 Baths
    • 5,876 Sq.Ft.
  • 32 Gardenview Avenue Active Under Contract

    $3,295,000

    32 Gardenview Avenue, Greenville, SC 29601

    • 6 Beds
    • 5 Baths
    • 4,839 Sq.Ft.
  • 243 Quay Court For Sale

    $3,250,000

    243 Quay Court, Sunset, SC 29685

    • 4 Beds
    • 5 Baths
    • 2,800 Sq.Ft.
  • 624 Brixton Circle Active Under Contract

    $3,150,000

    624 Brixton Circle, Simpsonville, SC 29681

    • 5 Beds
    • 7 Baths
    • 8,149 Sq.Ft.
  • 121 Great Camp Court Sold

    $3,100,000

    121 Great Camp Court, Sunset, SC 29685

    • 4 Beds
    • 5 Baths
    • 5,461 Sq.Ft.
  • 409 Mcdaniel Avenue Sold

    $3,075,000

    409 Mcdaniel Avenue, Greenville, SC 29601

    • 4 Beds
    • 5 Baths
    • 4,014 Sq.Ft.
  • 1236 Midway Road Sold

    $3,000,000

    1236 Midway Road, Pickens, SC 29671

    • 5 Beds
    • 5 Baths
    • 5,149 Sq.Ft.
  • 312 Crescent Avenue Sold

    $2,950,000

    312 Crescent Avenue, Greenville, SC 29605

    • 5 Beds
    • 5 Baths
    • 5,000 Sq.Ft.
  • 28 Sunset Drive Sold

    $2,900,000

    28 Sunset Drive, Greenville, SC 29605

    • 4 Beds
    • 6 Baths
    • 5,781 Sq.Ft.
  • 4751 State Park Road Sold

    $2,900,000

    4751 State Park Road, Travelers Rest, SC 29690

    • 4 Beds
    • 3 Baths
    • 1,978 Sq.Ft.
  • 12 Woodvalley Court For Sale

    $2,850,000

    12 Woodvalley Court, Greenville, SC 29617

    • 6 Beds
    • 7 Baths
    • 5,025 Sq.Ft.
  • 1005 Garlington Road For Sale

    $2,825,000

    1005 Garlington Road, Greenville, SC 29615

    • 4 Beds
    • 6 Baths
    • 4,120 Sq.Ft.
  • 3 Seminole Drive Sold

    $2,825,000

    3 Seminole Drive, Greenville, SC 29605

    • 6 Beds
    • 7 Baths
    • 6,036 Sq.Ft.
  • 201 Saranac Drive Sold

    $2,700,000

    201 Saranac Drive, Sunset, SC 29685

    • 4 Beds
    • 4 Baths
    • 2,659 Sq.Ft.
  • 101 Odell Street For Sale

    $2,699,999

    101 Odell Street, Greenville, SC 29615

    • 4 Beds
    • 5 Baths
    • 4,490 Sq.Ft.
  • 10 Longview Terrace Sold

    $2,650,000

    10 Longview Terrace, Greenville, SC 29605

    • 5 Beds
    • 6 Baths
    • 6,233 Sq.Ft.
  • 114 Dominick Court Sold

    $2,650,000

    114 Dominick Court, Greenville, SC 29605

    • 6 Beds
    • 11 Baths
    • 12,384 Sq.Ft.
  • 15 Lookout Ridge Drive Sold

    $2,600,000

    15 Lookout Ridge Drive, Travelers Rest, SC 29690

    • 5 Beds
    • 6 Baths
    • 11,446 Sq.Ft.
  • 605 Mcdaniel Avenue Sold

    $2,592,500

    605 Mcdaniel Avenue, Greenville, SC 29605

    • 4 Beds
    • 6 Baths
    • 5,880 Sq.Ft.
  • 859 Mt Airy Church Road Sold

    $2,550,000

    859 Mt Airy Church Road, Easley, SC 29642

    • 6 Beds
    • 7 Baths
    • 6,091 Sq.Ft.
  • 112 Verdae Crest Drive Active Under Contract

    $2,500,000

    112 Verdae Crest Drive, Greenville, SC 29607

    • 5 Beds
    • 6 Baths
    • 5,850 Sq.Ft.
  • 155 Fisher Knob Road Sold

    $2,500,000

    155 Fisher Knob Road, Salem, SC 29676

    • 4 Beds
    • 3 Baths
    • 2,100 Sq.Ft.
  • 231 S Lake Drive Sold

    $2,500,000

    231 S Lake Drive, Sunset, SC 29685

    • 6 Beds
    • 6 Baths
    • 6,938 Sq.Ft.
  • 704 Crescent Avenue Sold

    $2,500,000

    704 Crescent Avenue, Greenville, SC 29601

    • 4 Beds
    • 4 Baths
    • 3,902 Sq.Ft.
  • 501 Hidden Hills Drive Sold

    $2,440,150

    501 Hidden Hills Drive, Greenville, SC 29605

    • 5 Beds
    • 4 Baths
    • 6,400 Sq.Ft.
  • 53 Legacy Park Road Active Under Contract

    $2,400,000

    53 Legacy Park Road, Greenville, SC 29607

    • 4 Beds
    • 4 Baths
    • 3,155 Sq.Ft.
  • 14 Monet Drive Active Under Contract

    $2,395,000

    14 Monet Drive, Greenville, SC 29609

    • 5 Beds
    • 6 Baths
    • 5,414 Sq.Ft.
  • 407 Lake Hills Lane Active Under Contract

    $2,350,000

    407 Lake Hills Lane, Travelers Rest, SC 29690

    • 4 Beds
    • 6 Baths
    • 5,954 Sq.Ft.
  • 731 Barberry Court For Sale

    $2,350,000

    731 Barberry Court, Salem, SC 29676

  • 551 Cliffs Vista Parkway For Sale

    $2,325,000

    551 Cliffs Vista Parkway, Six Mile, SC 29682

    • 3 Beds
    • 4 Baths
    • 3,003 Sq.Ft.
  • 113 Rockingham Road Sold

    $2,300,000

    113 Rockingham Road, Greenville, SC 29607

    • 6 Beds
    • 6 Baths
    • 5,597 Sq.Ft.
  • 116 Northington Court Sold

    $2,300,000

    116 Northington Court, Sunset, SC 29685

    • 4 Beds
    • 5 Baths
    • 3,522 Sq.Ft.
  • 204 Sunset Drive Sold

    $2,300,000

    204 Sunset Drive, Greenville, SC 29605

    • 5 Beds
    • 6 Baths
    • 5,345 Sq.Ft.
  • 460 Whispering Ridge Trail Sold

    $2,300,000

    460 Whispering Ridge Trail, Woodruff, SC 29388

    • 6 Beds
    • 6 Baths
    • 7,164 Sq.Ft.
  • 239 Pine Forest Drive Sold

    $2,200,000

    239 Pine Forest Drive, Greenville, SC 29601

    • 4 Beds
    • 5 Baths
    • 5,685 Sq.Ft.
  • 924 Jordan Road For Sale

    $2,200,000

    924 Jordan Road, Troy, SC 29848

    • 3 Beds
    • 3 Baths
    • 2,100 Sq.Ft.
  • 45 Raven Road For Sale

    $2,195,000

    45 Raven Road, Landrum, SC 29356

    • 4 Beds
    • 4 Baths
    • 6,204 Sq.Ft.
  • 100 Knollwood Lane Sold

    $2,175,000

    100 Knollwood Lane, Greenville, SC 29607

    • 3 Beds
    • 5 Baths
    • 3,568 Sq.Ft.
  • 155 Village Point Drive For Sale

    $2,175,000

    155 Village Point Drive, Sunset, SC 29685

    • 4 Beds
    • 5 Baths
    • 3,654 Sq.Ft.
  • 338 Pine Forest Drive Extension Sold

    $2,100,000

    338 Pine Forest Drive Extension, Greenville, SC 29605

    • 4 Beds
    • 5 Baths
    • 4,531 Sq.Ft.
  • 102 Antigua Way Sold

    $2,050,000

    102 Antigua Way, Greer, SC 29650

    • 5 Beds
    • 7 Baths
    • 7,728 Sq.Ft.
View All

Follow Us On Instagram